Henri Goulet high res images

High Resolution Images of Adephaga, courtesy of Henri Goulet
Last Update: November 25, 2019

RHYSODIDAE
CLINIDIUM
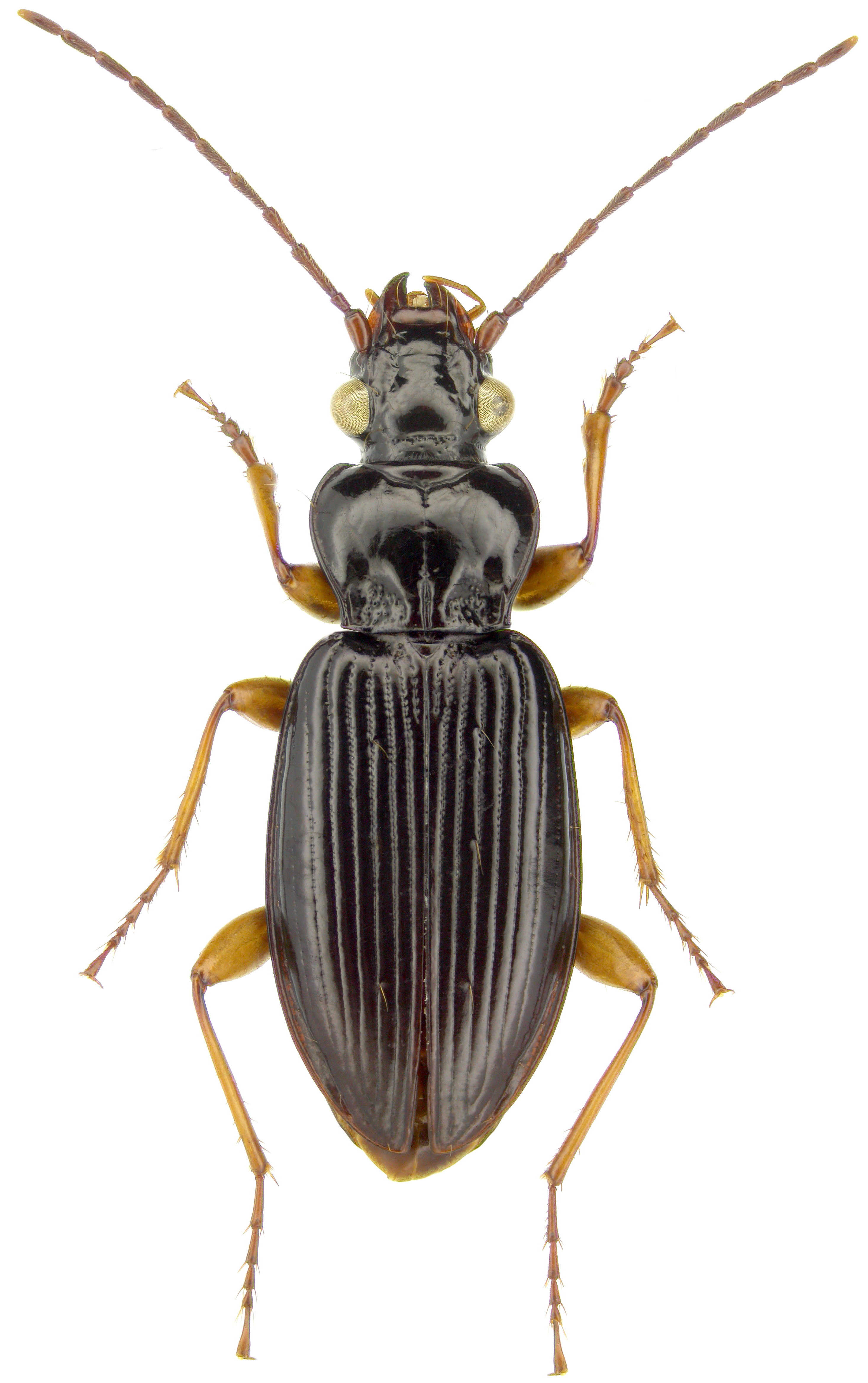
Clinidium calcaratum LeConte
OMOGLYMMIINI
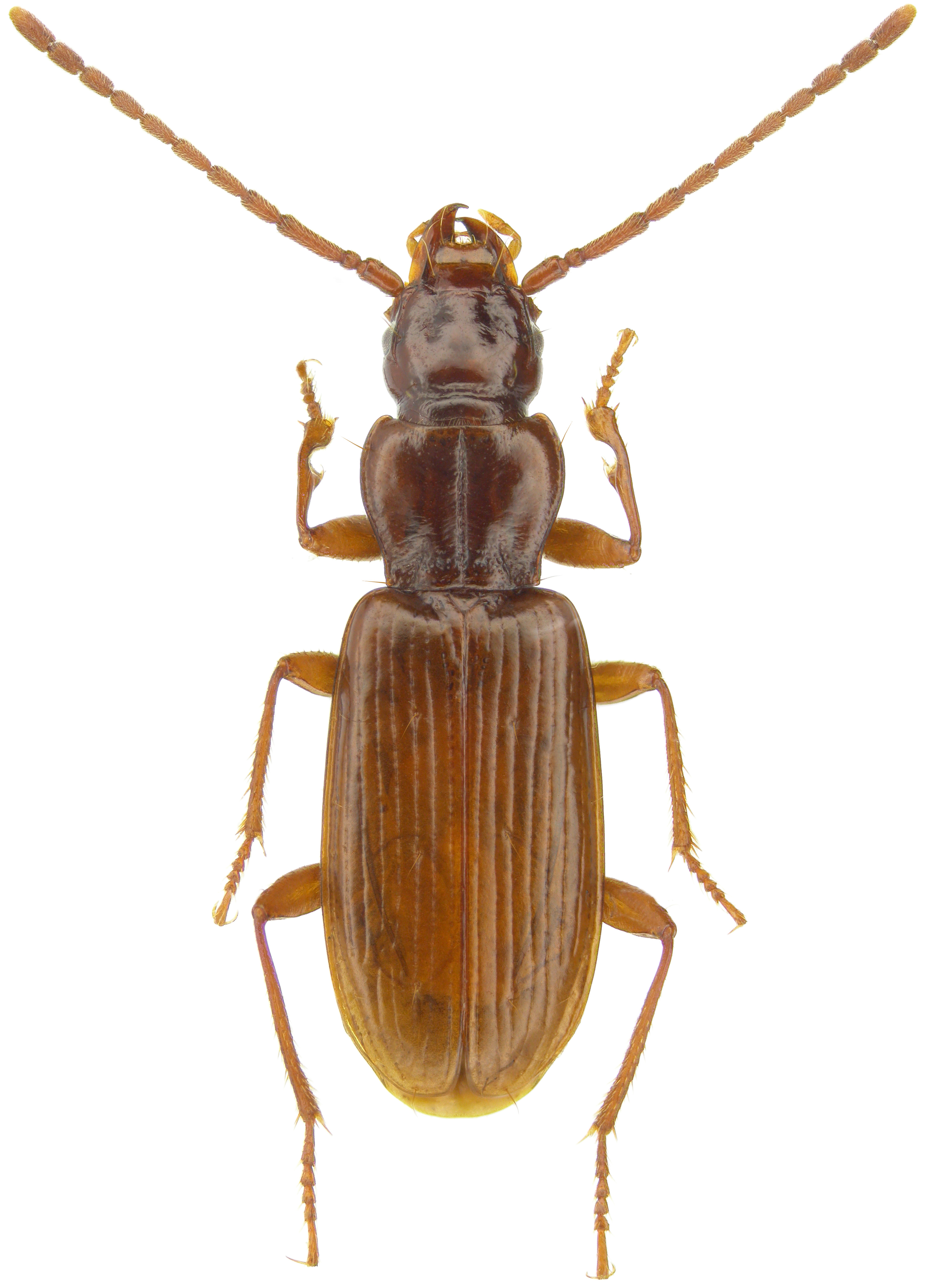
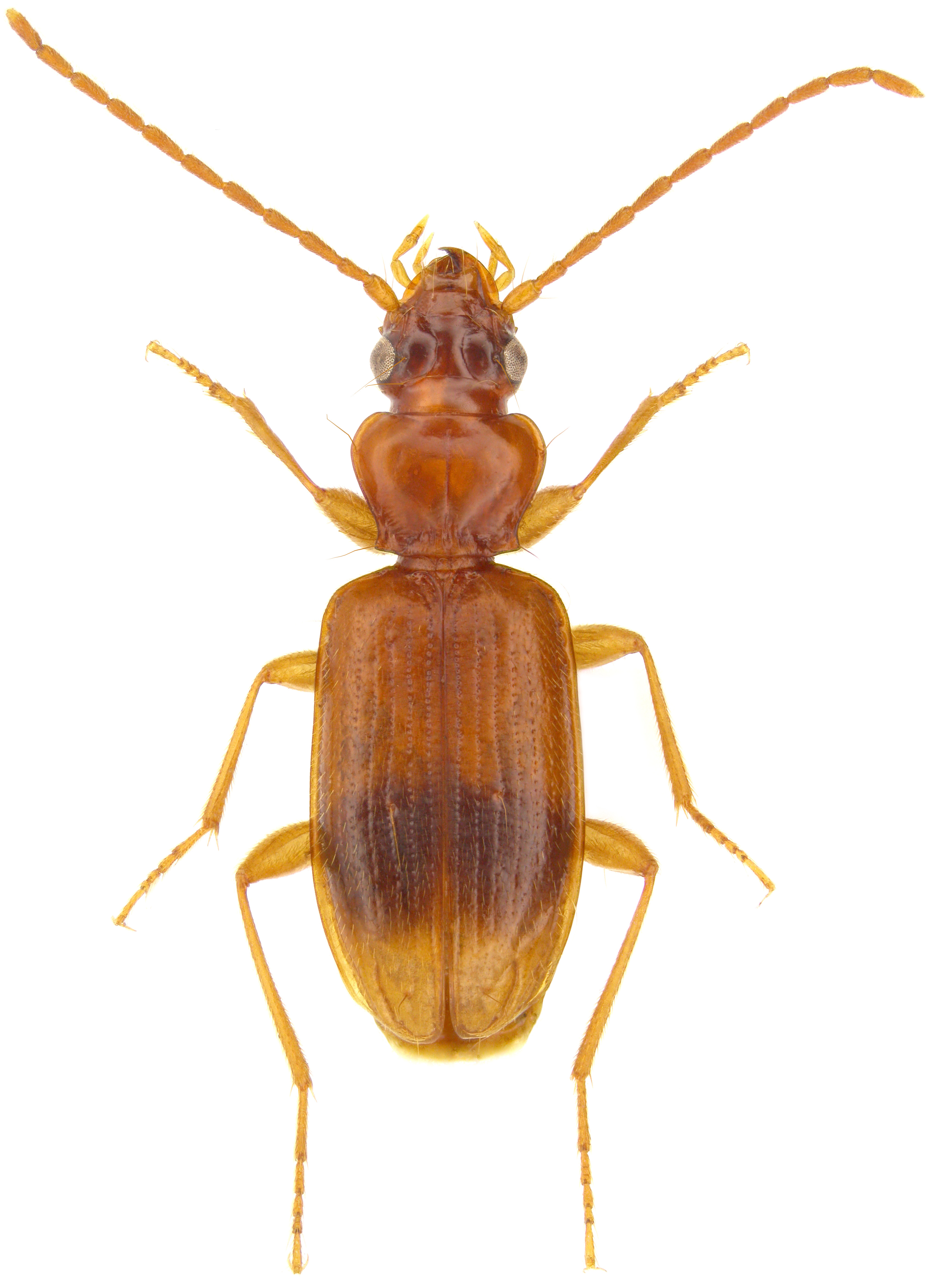
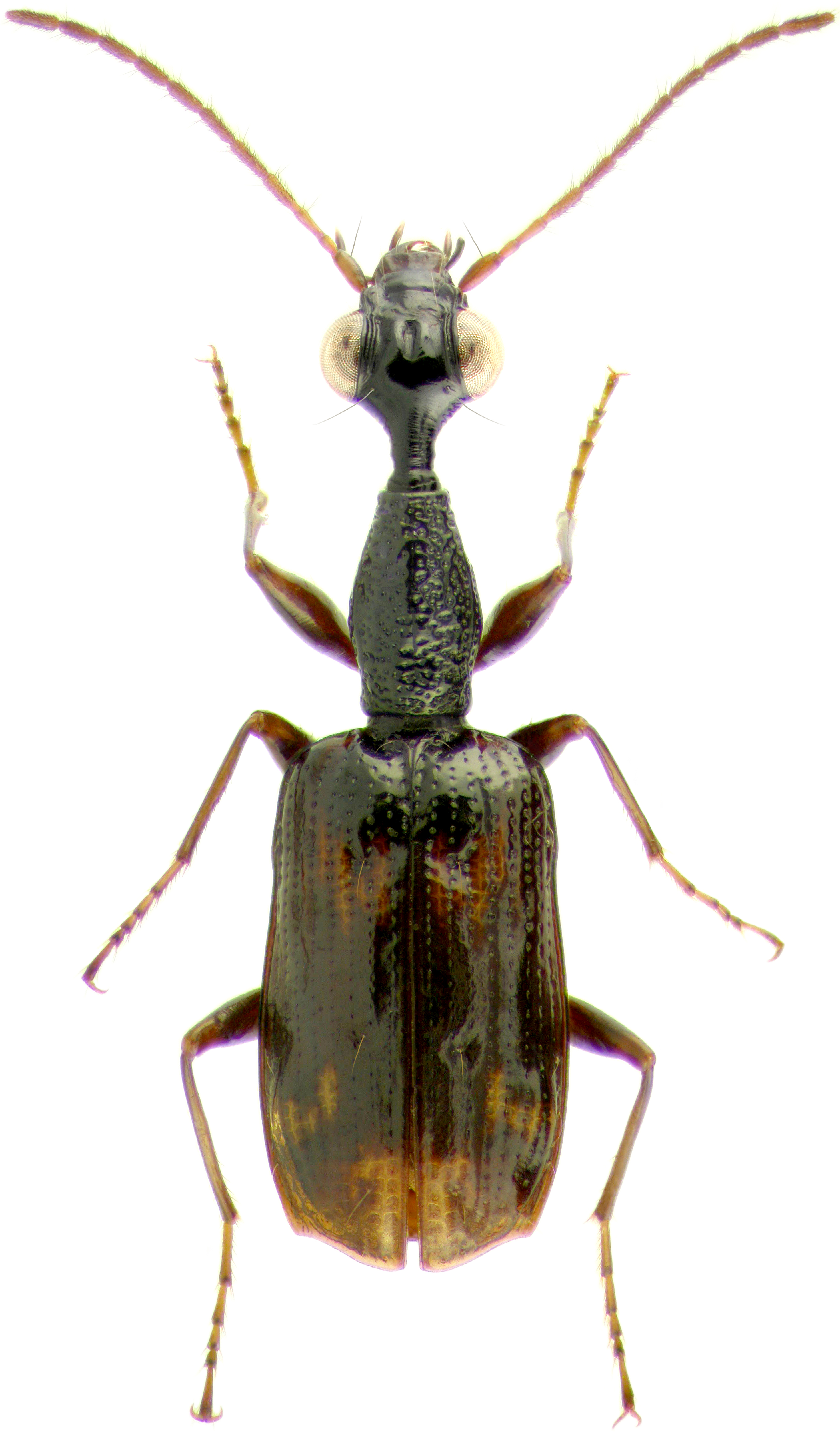
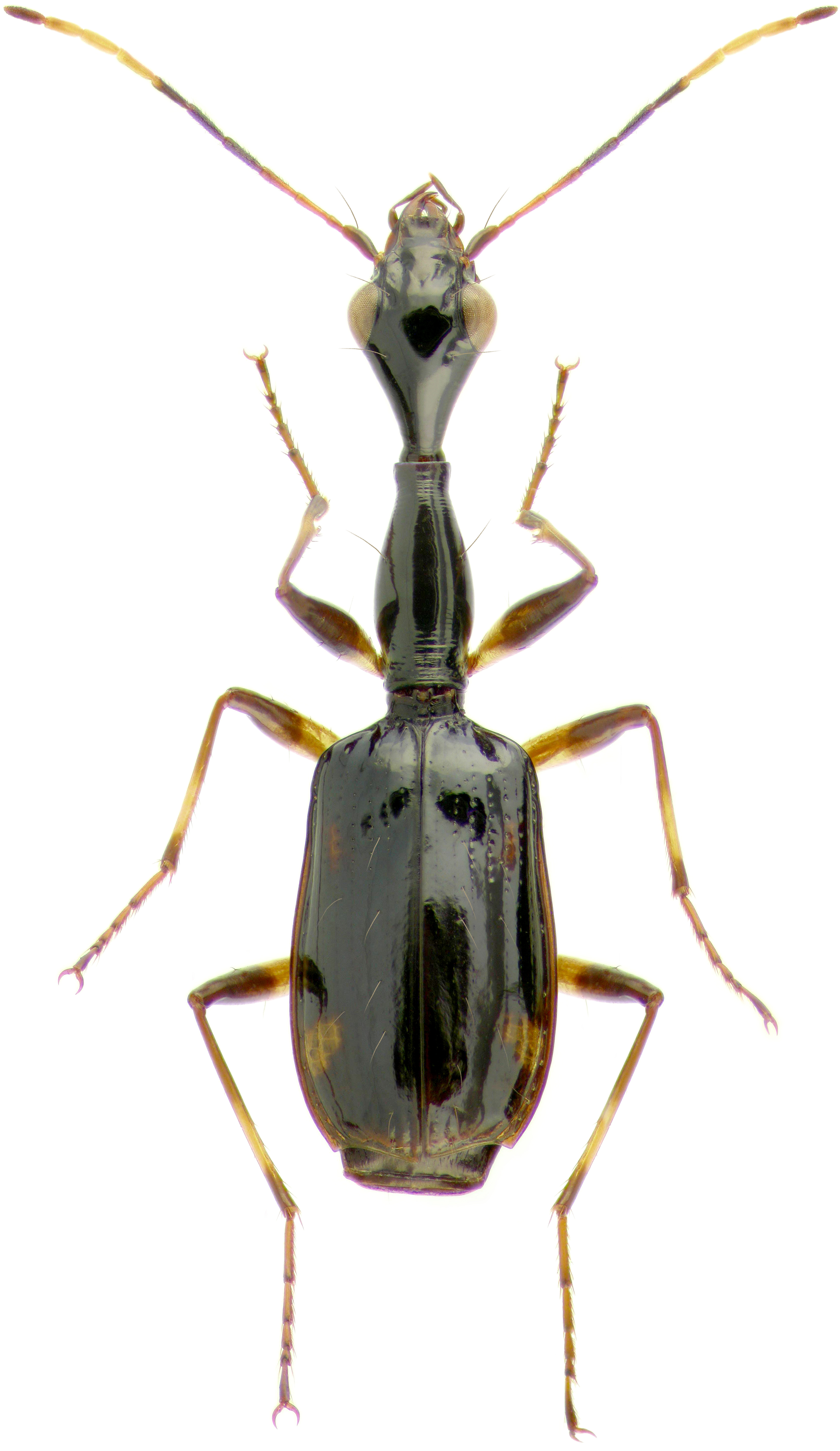
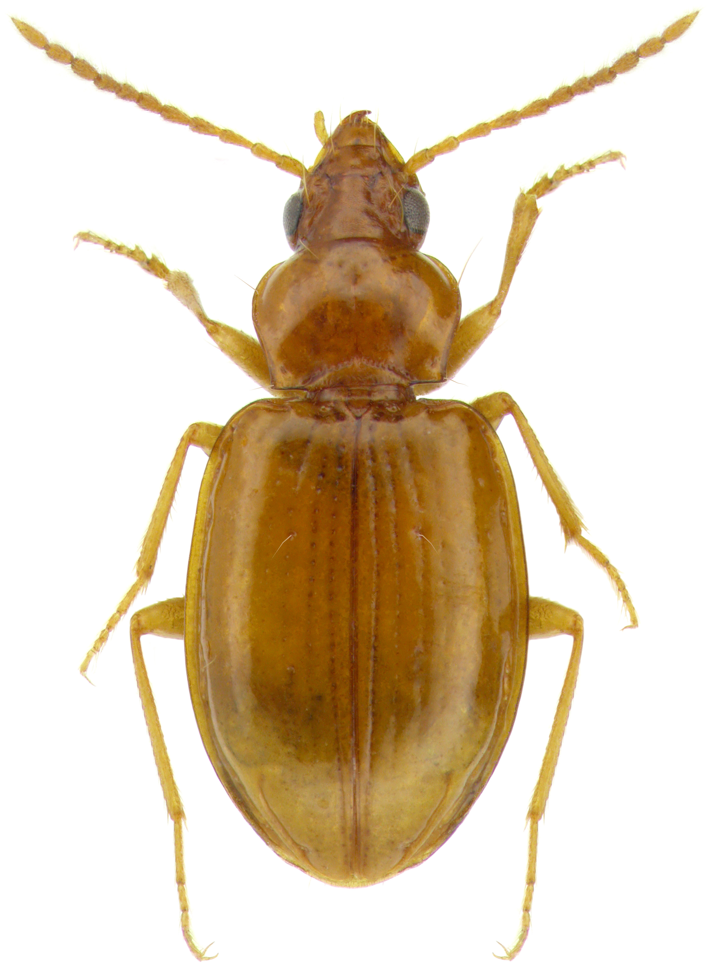
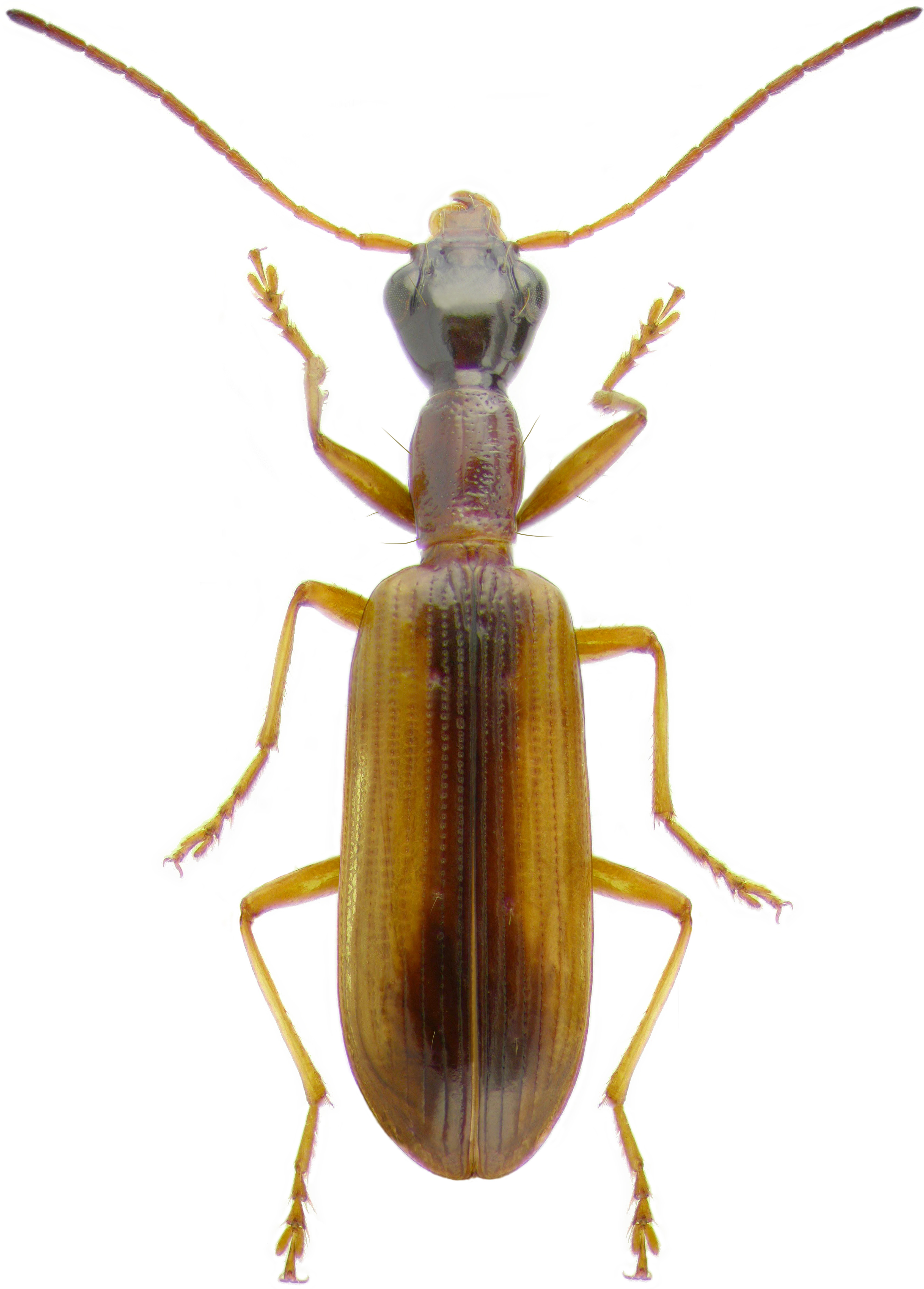
Omoglymmius americanus Laporte: image 1; image 2

TRACHYPACHIDAE
TRACHYPACHIINI
Trachypachus gibbsii LeConte

CARABIDAE (tribes, genera and species in alphabetical order)
BEMBIDIINI
Asaphidion curtum Heyden
Bembidion: carinula Chaudoir; cheyennense Casey; concretum Casey; confusum Hayward; graciliforme Hayward;
lucanarium
Zimmermann; nigrum Say; nitidum Kirby;obtusum Audinet-Serville; patruele Dejean;
petrosum
Gebler; postrermum Say; properans Stephens; punctatostriatum Say;
quadrimaculatum oppositum Say; tetacolum Say; transparens Gebler; versicolor LeConte; wingatei Bland

Elaphropus: incurvus Say; parvulus Dejean; tripunctatus Say
Miotachys flavicauda Say
Paratachys proximus Say
Pericompsus ephippiatus Say
Phrypeus rickseckeri Hayward
Polyderis laevis Say
Porotachys bisulcatus Nicolai
Tachys halophilus Lindroth
Tachyta n. nana Gyllenhal
BRACHININI
Brachinus: medius Harris; tenuciollis LeConte
BROSCINI
Broscodera insignis Mannerheim
Broscus c. cephalotes Linnaeus
Mecodema: fulgidum Broun; lewisi Broun; undet. sp.
Metaglymma undet. sp.
Miscodera arctica Paykull
Zacotus matthewsii LeConte
CARABINI
Calosoma: calidum Fabricius; externum Say; frigidum Kirby; scrutator Fabricius; scrutator female; scrutator male;
sycophanta Linnaeus; wilcoxi LeConte
Carabus: auratus Linnaeus; chamissonis F. von Waldheim; g. granulatus Linnaeus; goryi Dejean;
maeander F. von Waldheim; nemoralis Miller; serratus Say; sylvosus Say; taedatus agassii LeConte;
vietinghoffi Adams; vinctus Weber
CHLAENIINI
Chlaenius: aestivus Say; alternatus Horn; b. brevilabris LeConte; cordicollis Kirby; emarginatus Say;
erythropus Germar; impunctifrons Say; l. lithophilus Say; laticollis Say; nemoralis Say;
niger Randall; p. pensylvanicus Say; p. purpuricollis Randall; pusillus Say; s. sericeus Forster;
t. tomentosus Say; t. tricolor Dejean
CICINDELINI
Cicindela: ancocisconensis Harris; denikei Brown; denikei (black form); duodecimguttata Dejean;
formosa generosa Dejean; hirticollis rhodensis Calder; lepida Dejean; limbalis Klug;
limbata labradorensis Johnson; longilabris Say; longilabris (green form); marginata Fabricius;
marginipennis Dejean; p. punctulata Olivier; patruela Dejean; puritana Horn; purpurea Olivier;
r. rufiventris Dejean; r. repanda Dejean; Say; scutellaris lecontei Say; s. sexguttata Fabricius;
sexguttata (black form); tranquebarica Herbst
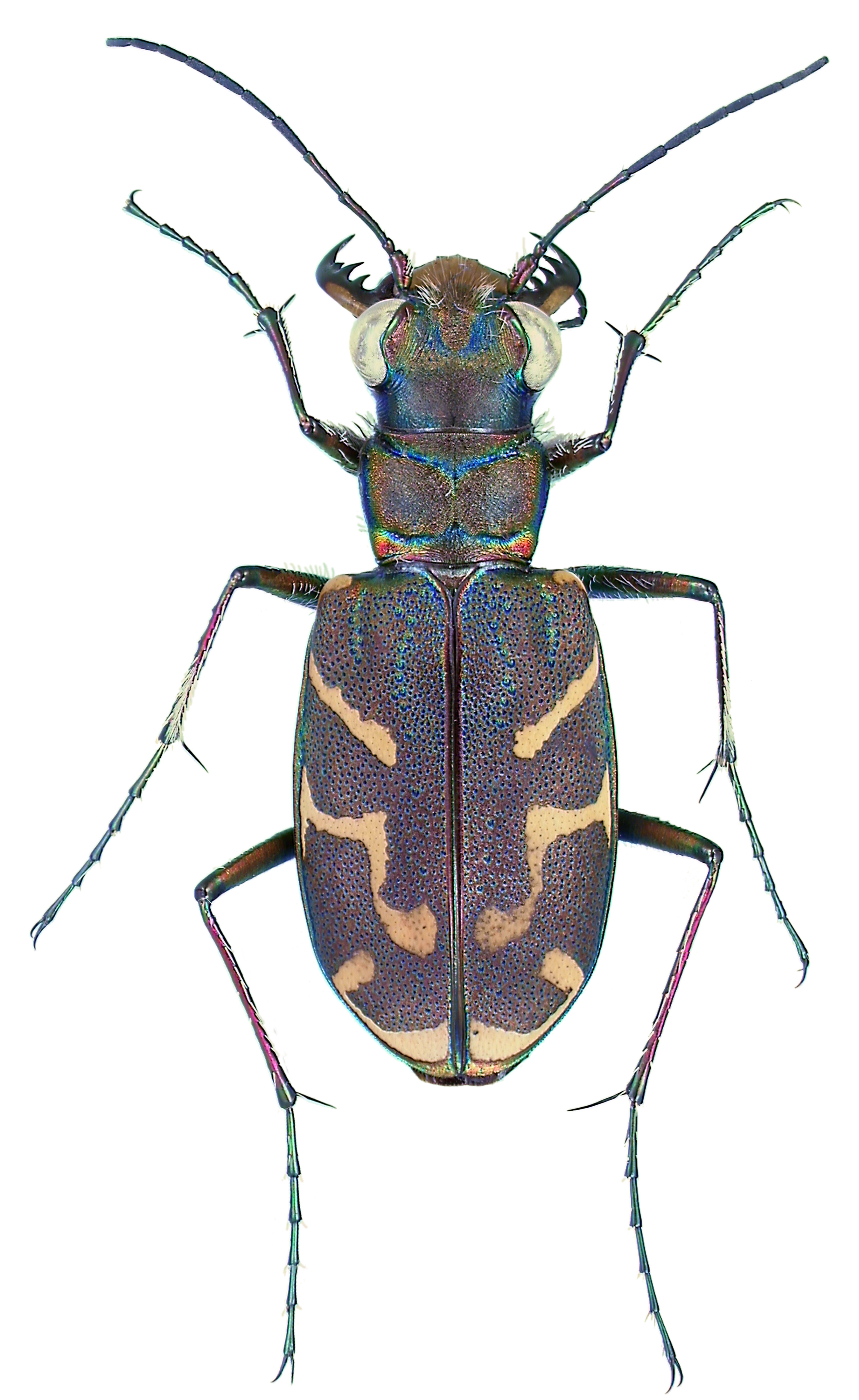
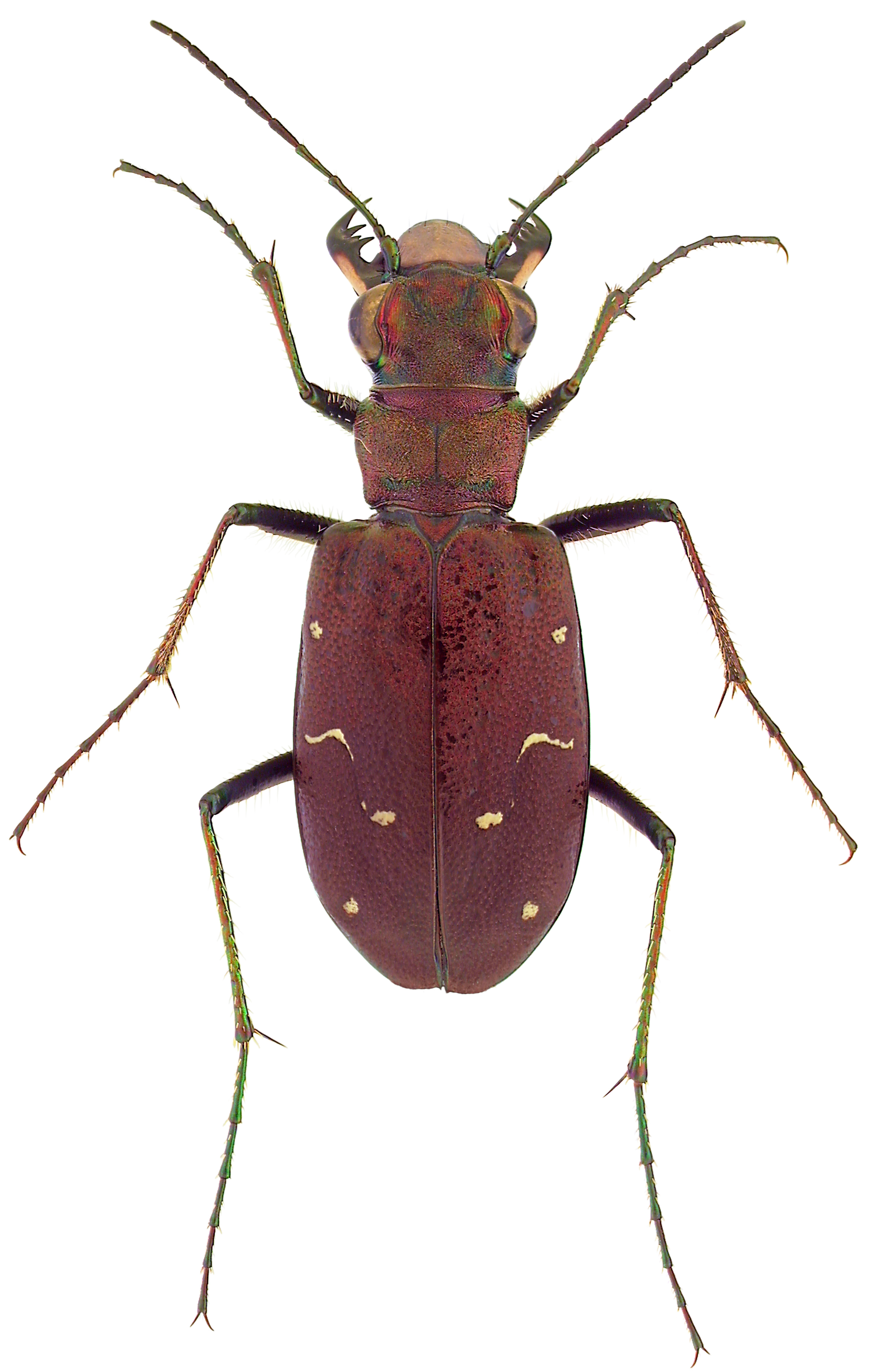
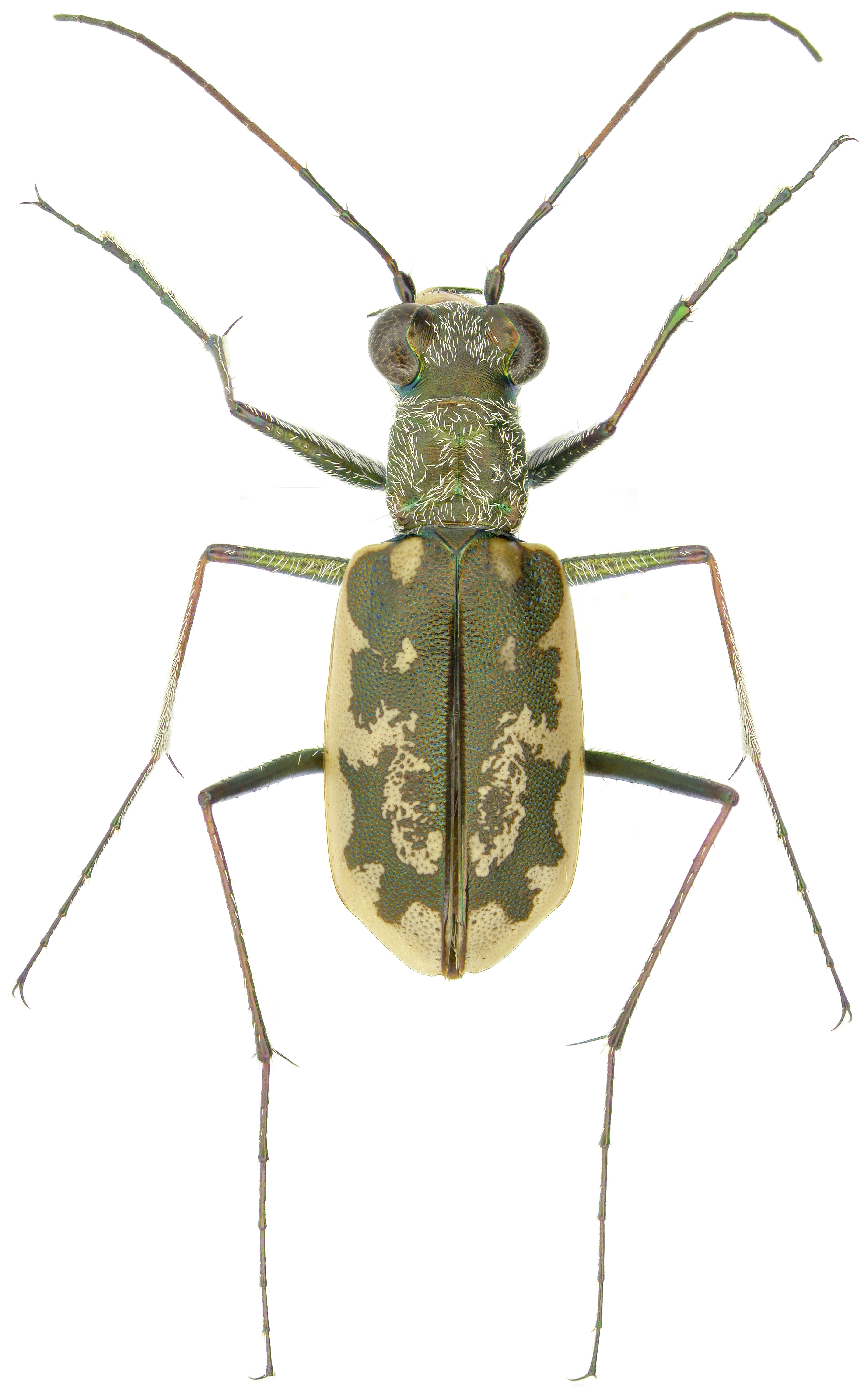
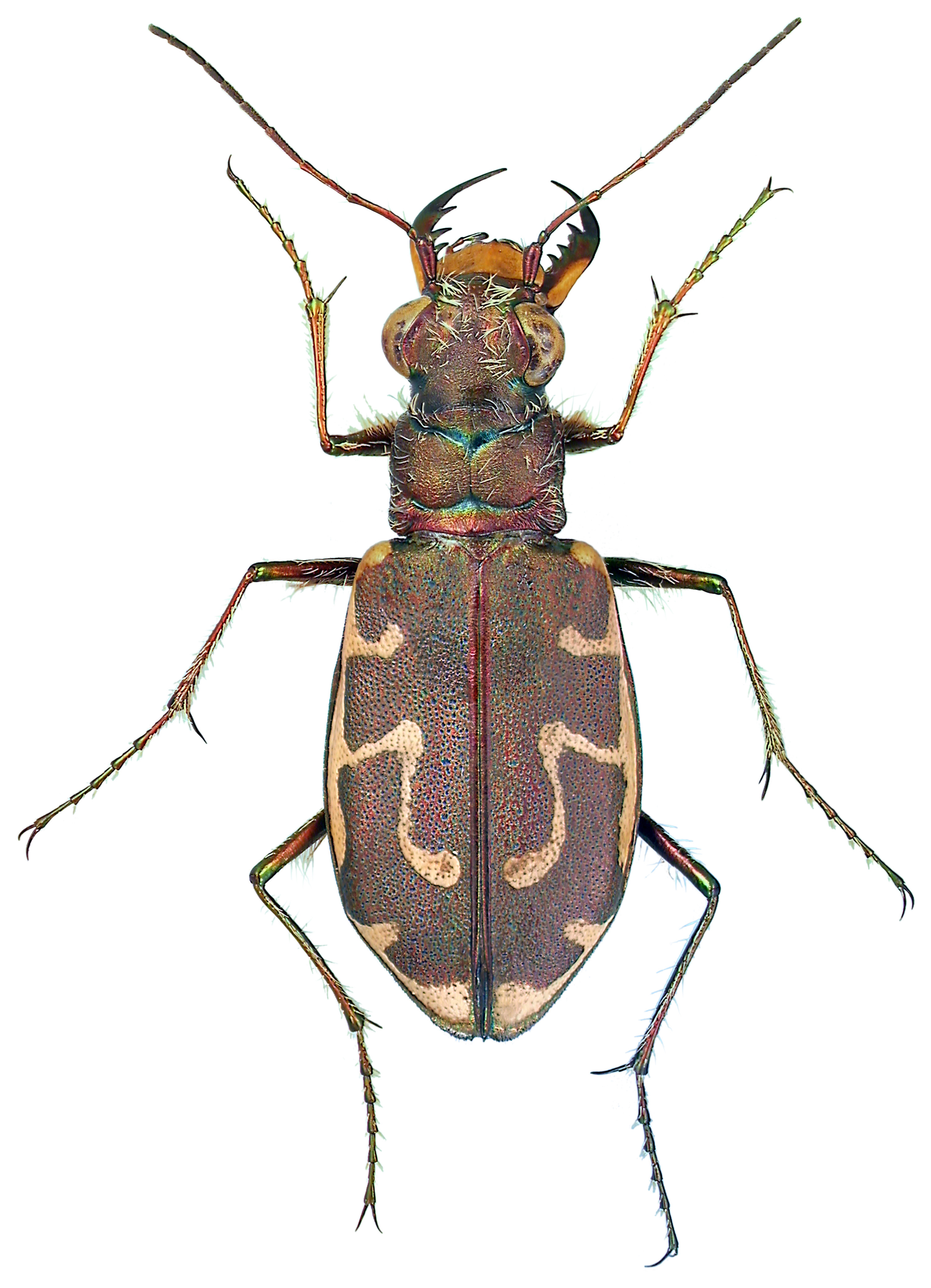
Omus dejeani Reiche: image 1; image 2
CLIVININI
Ardistomis schaumii LeConte
Clivina: bipustulata Fabricius; fossor Linnaaeus
Dyschirius: montanus LeConte; obesus LeConte; pallipennis Say; sphaericollis Say
Schizogenius: amphibius Haldeman; lineolatus Say
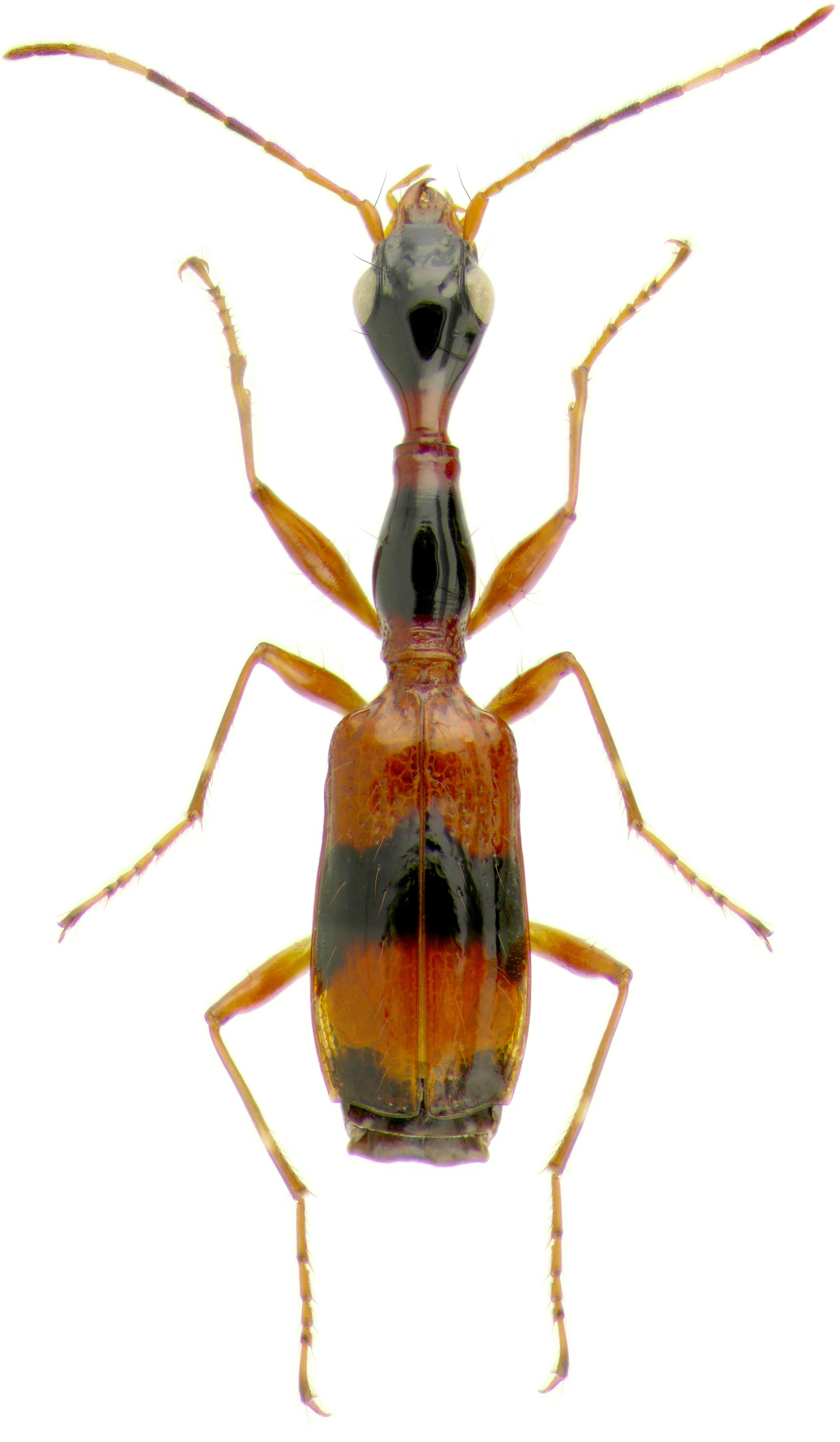
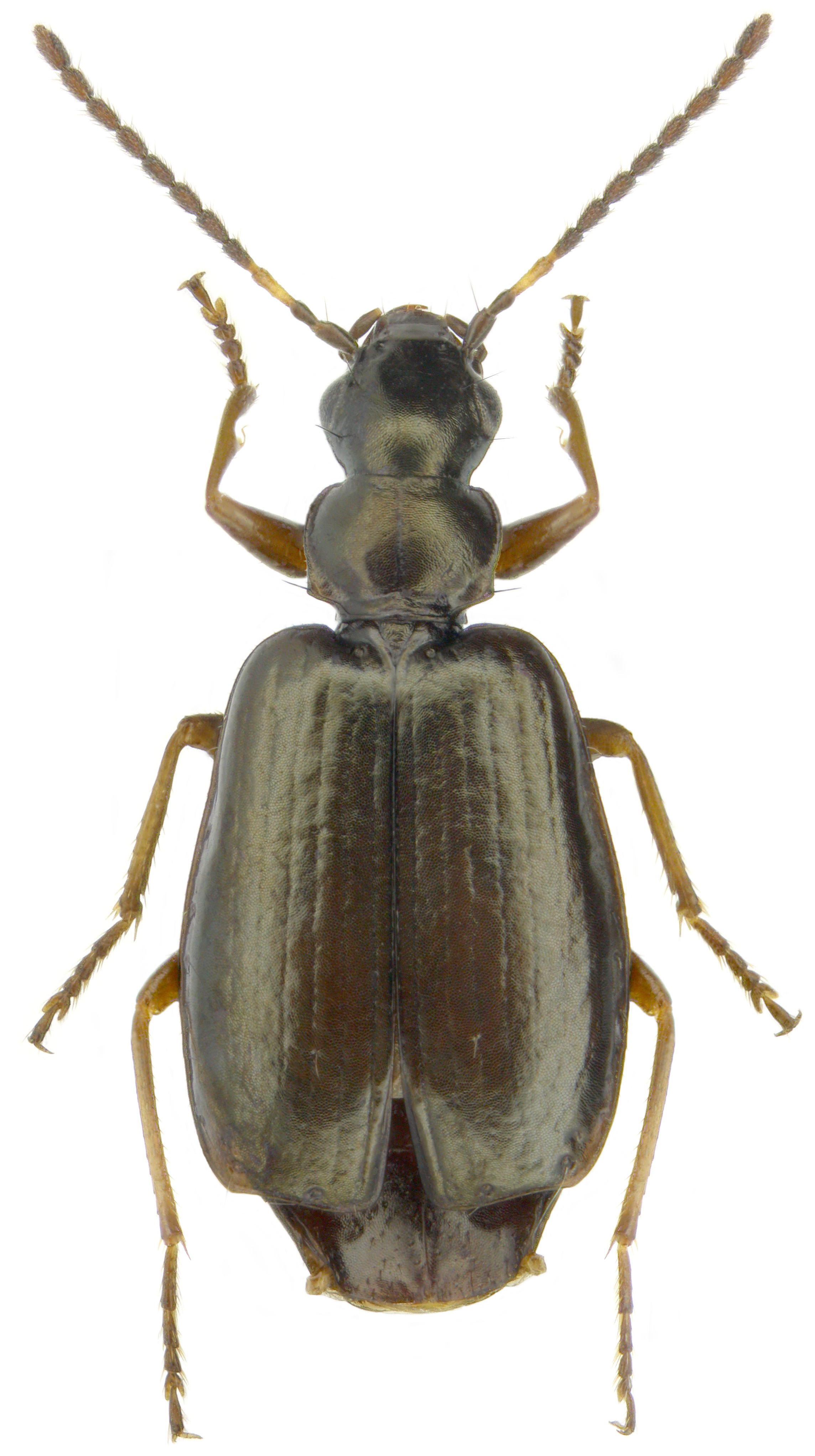
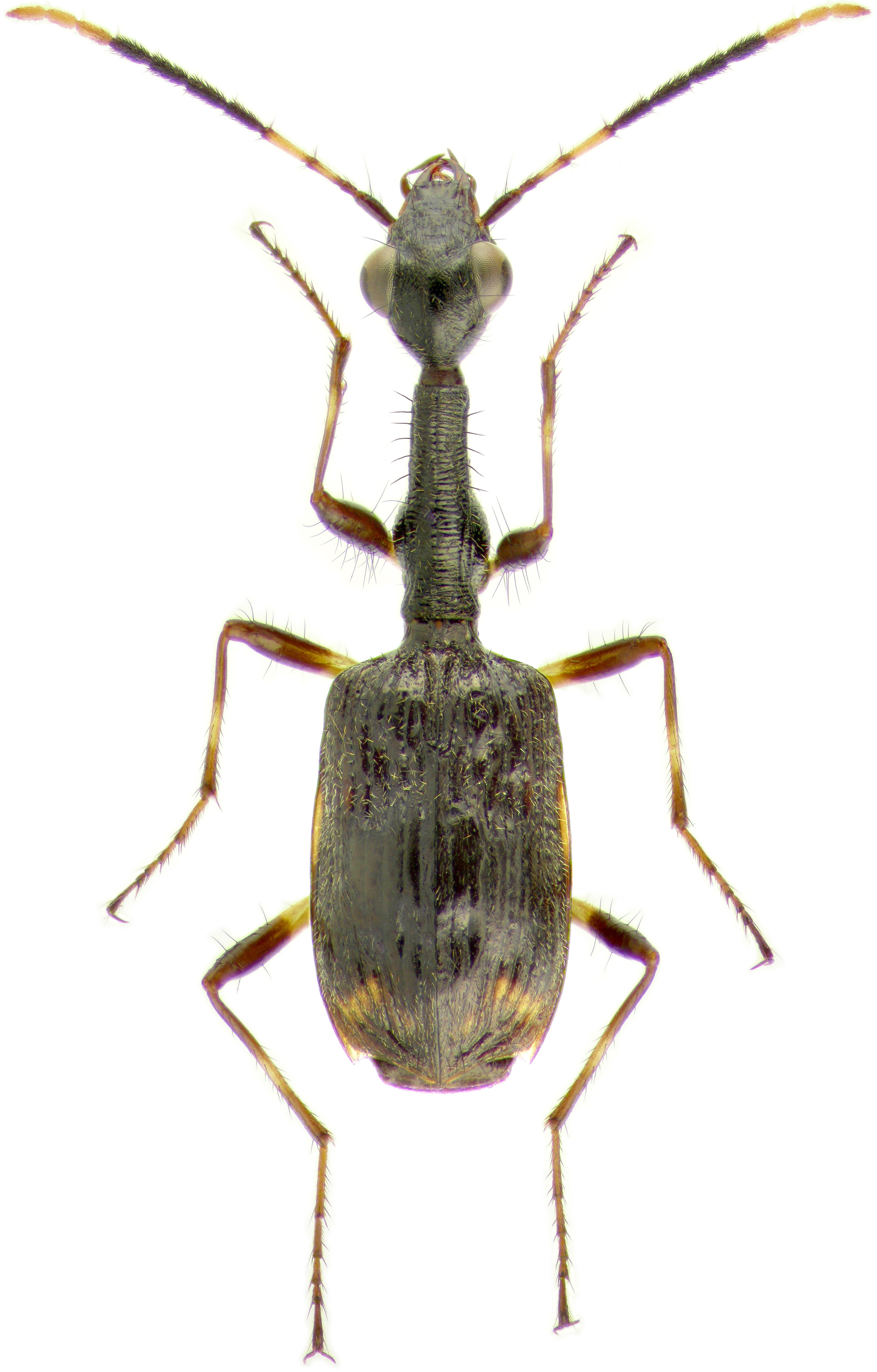
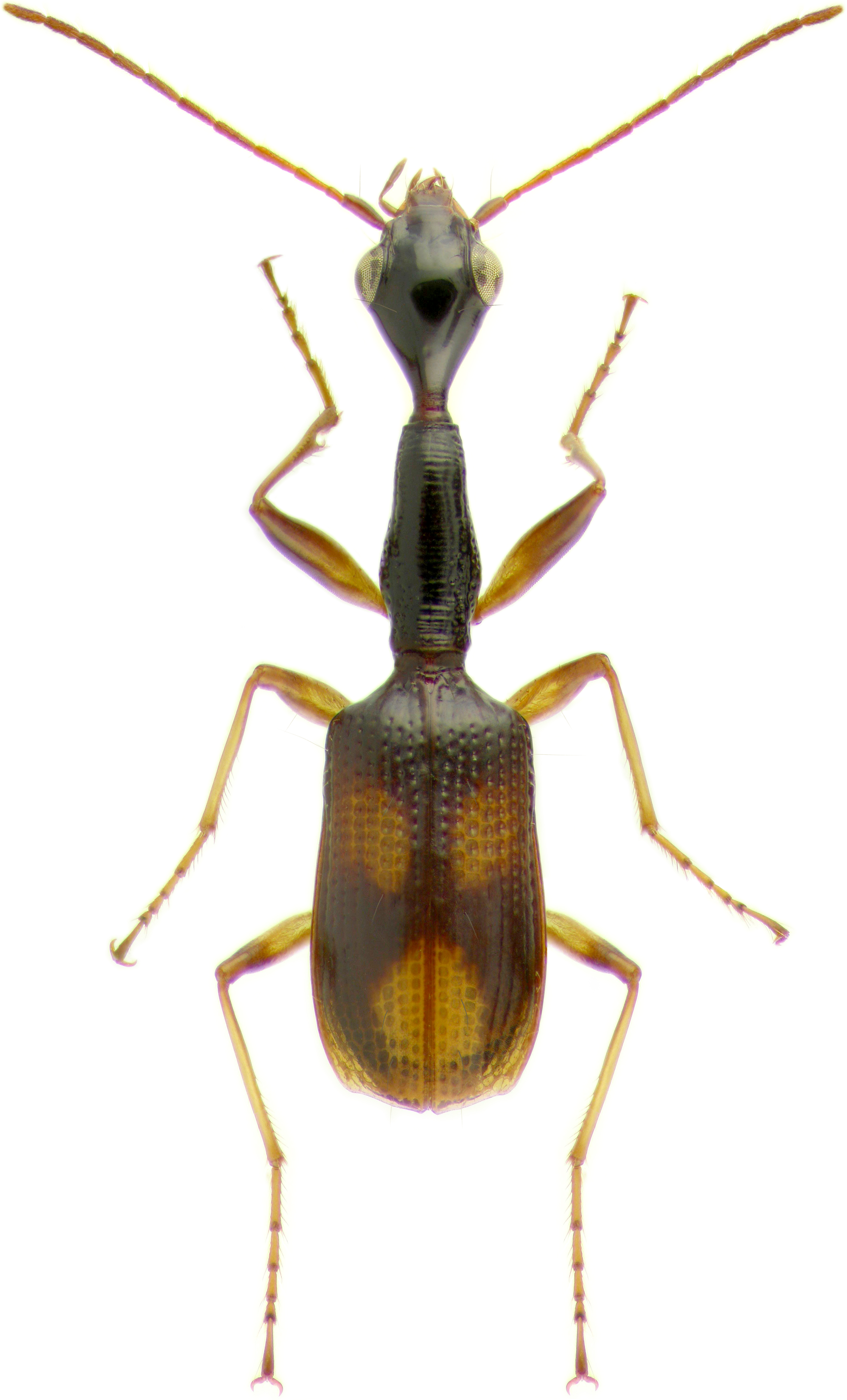
Semiardistomis puncticollis Dejean: image 1; image 2
CTENODACTYLINI
Leptotrachelus dorsalis Fabricius
CYCHRINI
Cychrus tubercuatus Harris
Scaphinotus: bilobus Say; viduus Dejean
Sphaeroderus: canadensis Chaudoir; nitidicollis breevorti LeConte; stenostomus lecontei Dejean
CYCLOSOMINI
Tetragonoderus fasciatus Haldeman
ELAPHRINI
Blethisa: inexpectata Goulet & Smetana; juliii LeConte; multipunctata aurata F. von Waldheim;
quadricollis Haldeman
Diacheila: arctica Gyllenhal; polita Faldermann
Elaphrus: a. americanus Dejean; californicus Mannerheim; cicatricosus LeConte; clairevillei Kirby;
comatus Goulet; fuliginosus Say; japonicus Ueno; l. lapponicus Gyllenhal; lecontei Crotch;
lindrothi Goulet; olivaceus LeConte; punctatus Motschulsky; riparius Linnaeus; ruscarius Say;
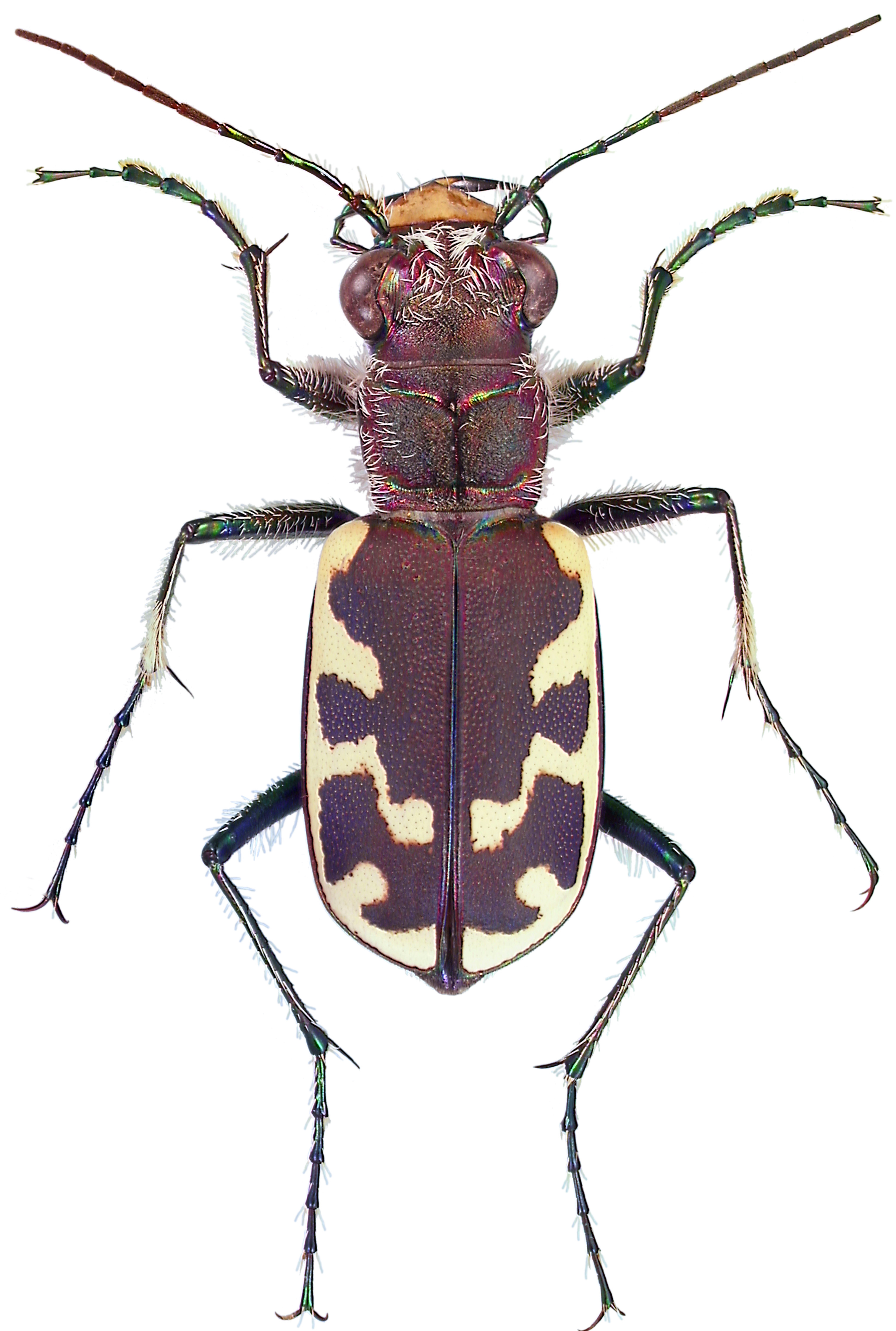
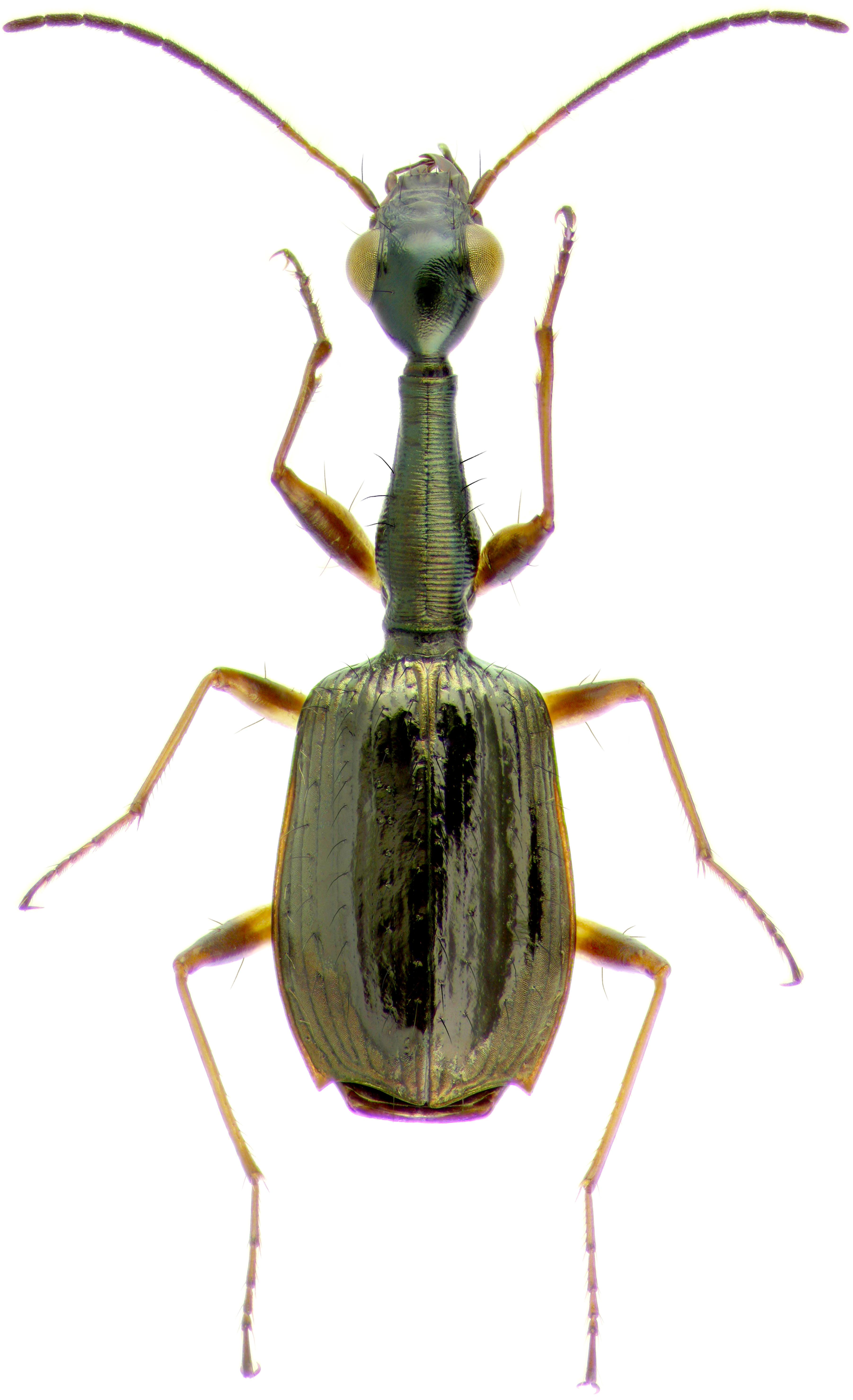
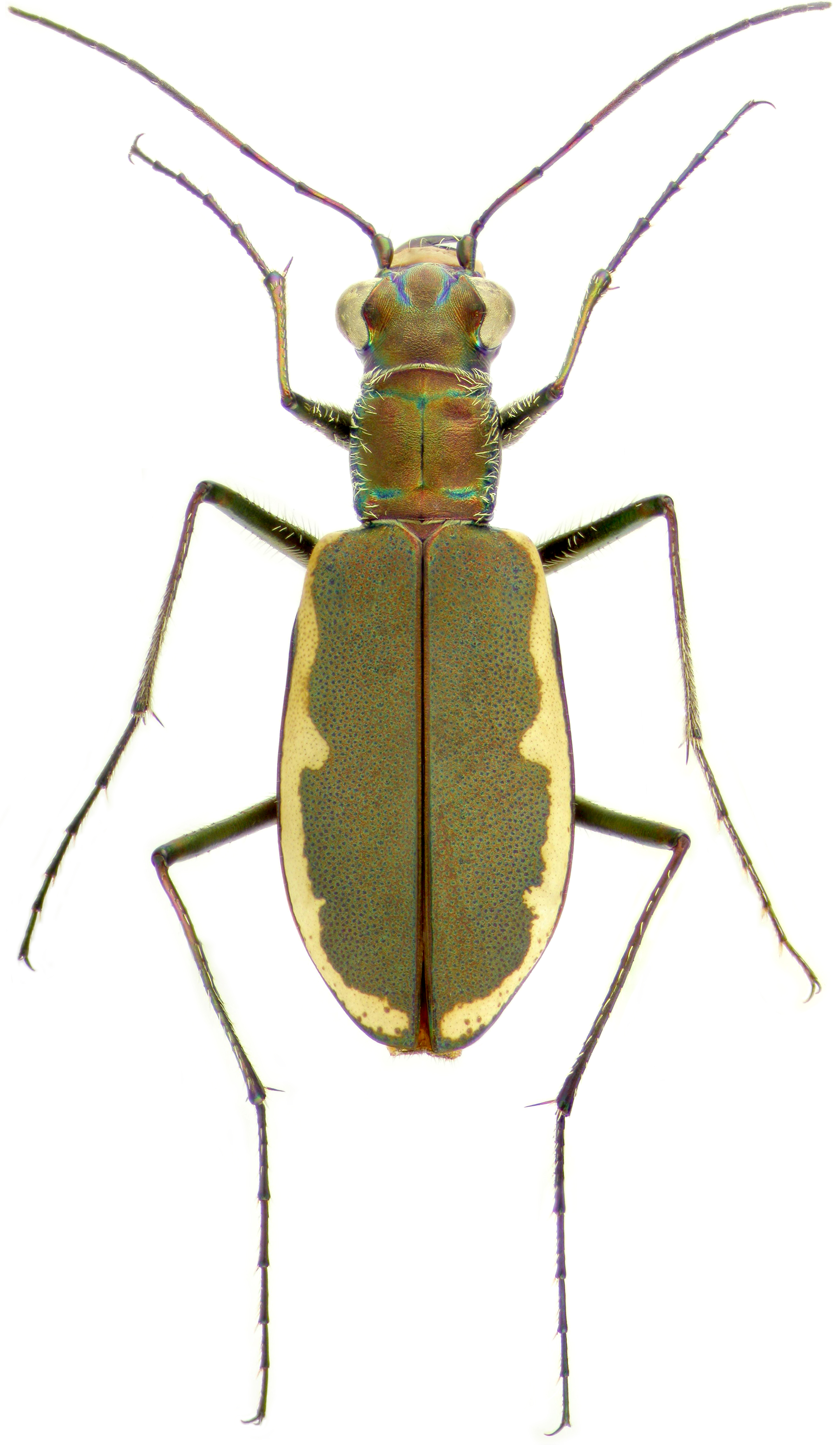
sibiricus Motschulsky; sugai Nakane; trossulus Semenov; viridis Horn: image 1; image 2
GALERITINI
Galerita janus Fabricius
GEHRINGIINI
Gehringia olympica Darlington
HARPALINI
Acupalus: alternans LeConte; carus LeConte; pauperculus Dejean; rectangulus Chaudoir
Amerinus linearis LeConte
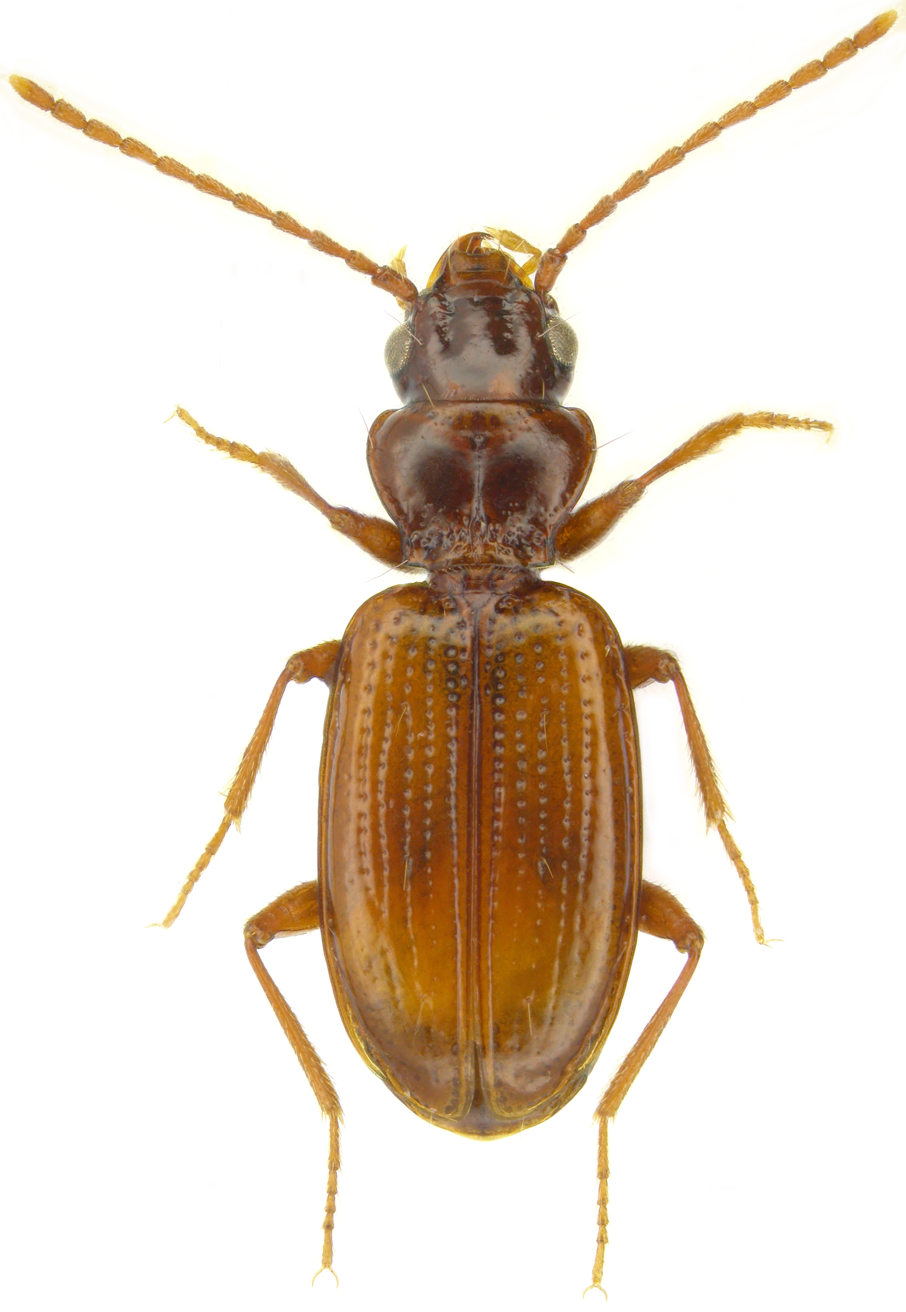
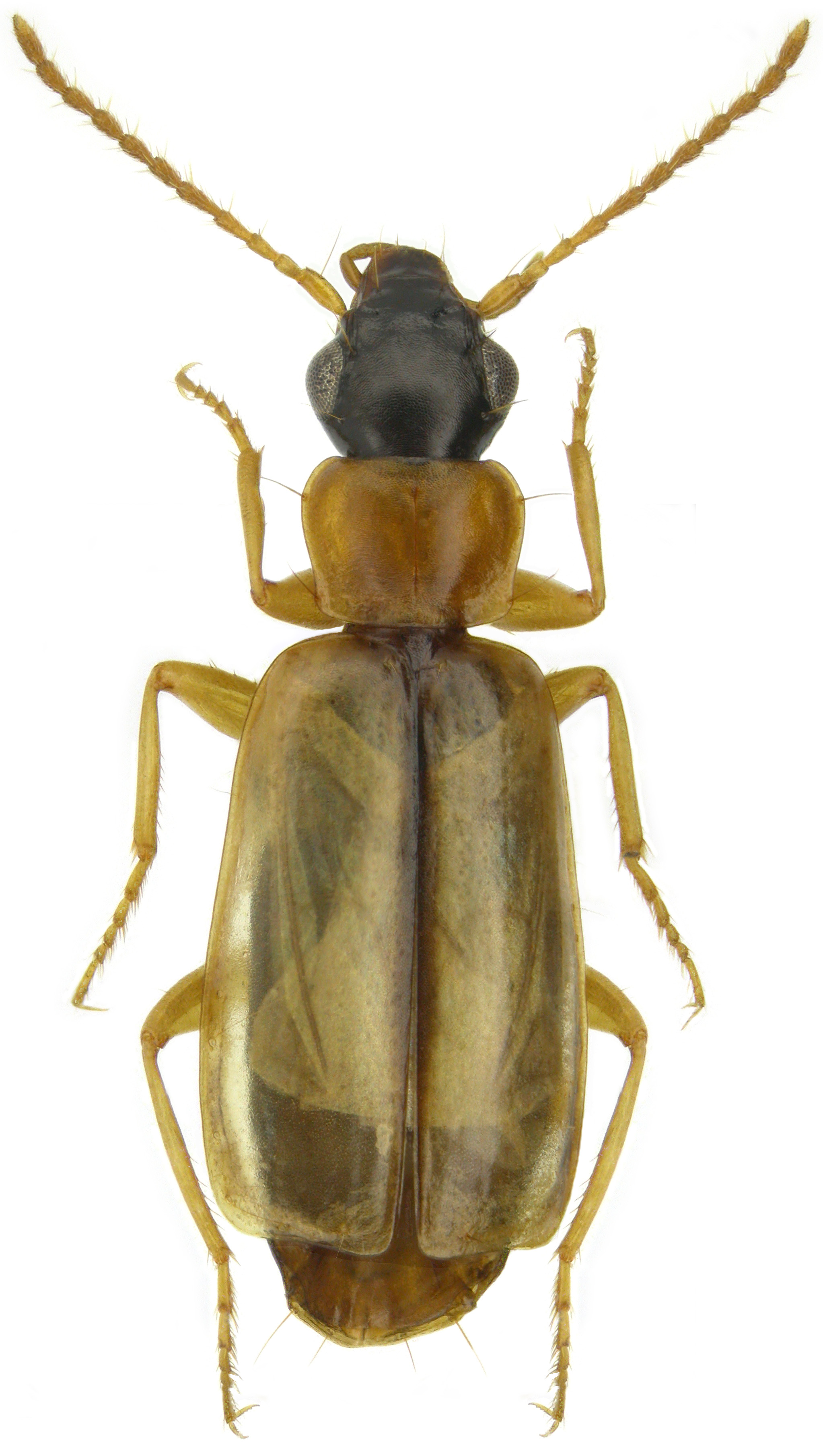
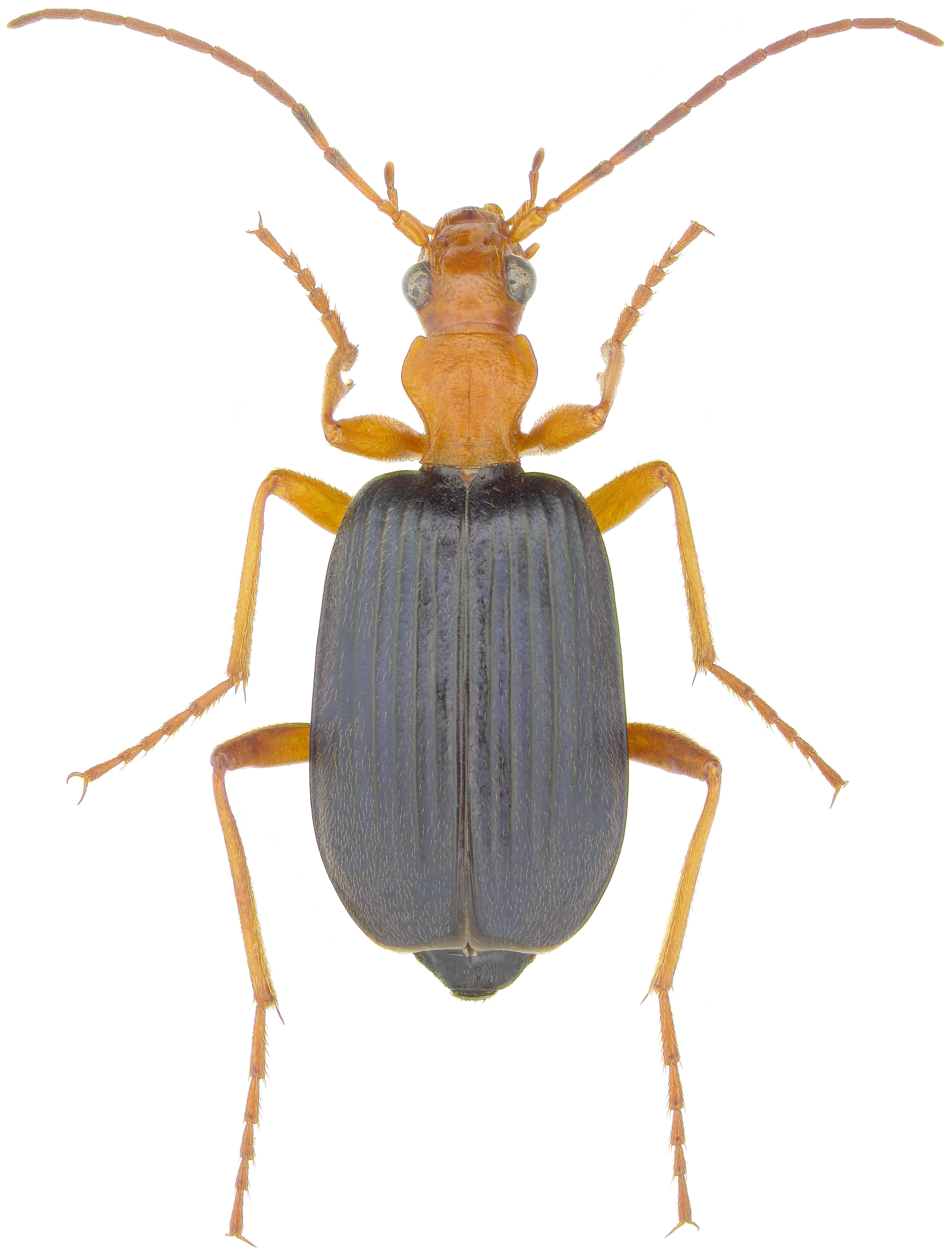
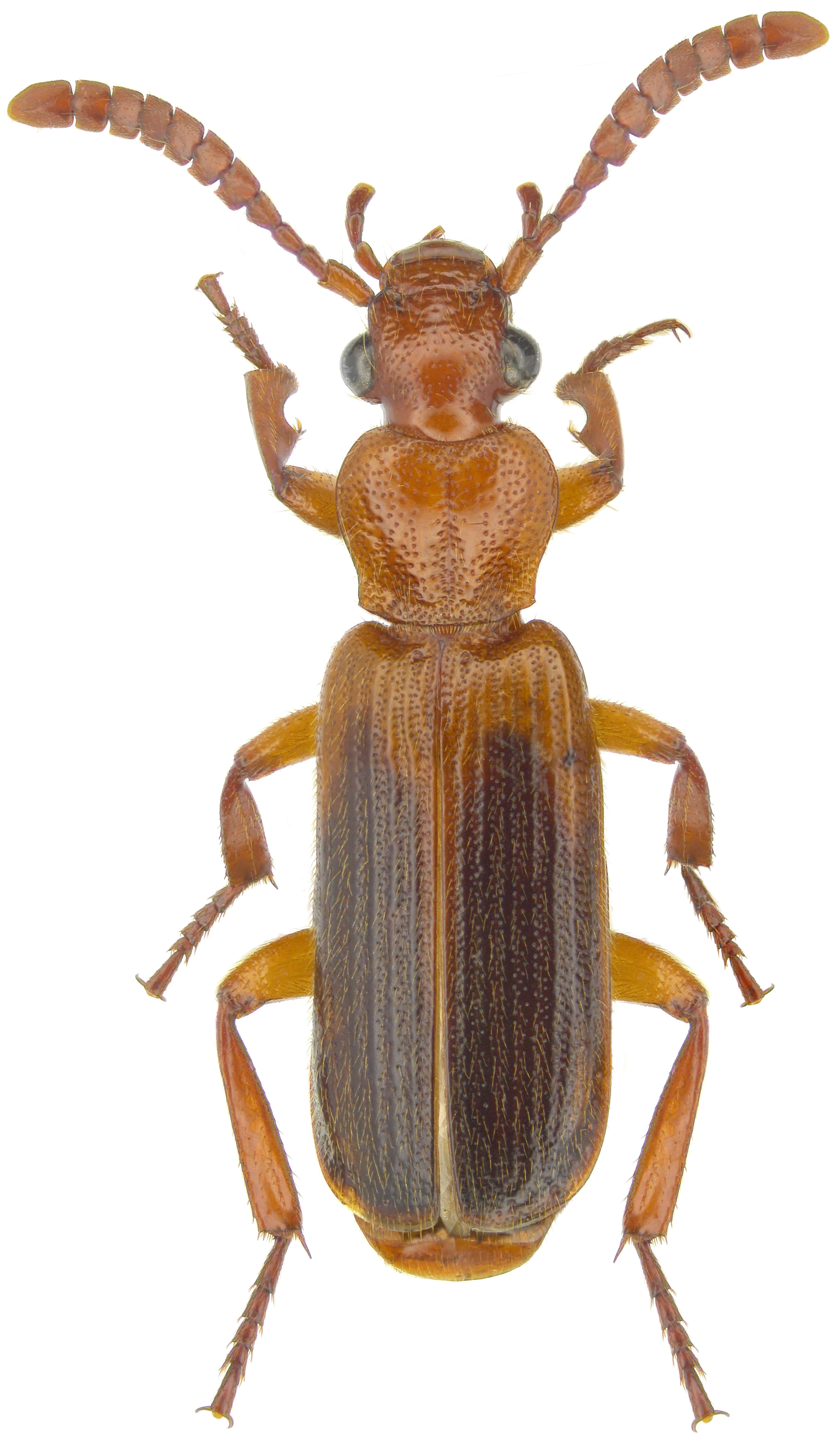
Amphasia: interstitialis Say: image 1; image 2; sericea Harris
Anisodactylus: discoideus Dejean; harrisii LeConte; kirbyi Lindroth; rusticus Say; sanctaecrucis Fabricius;
verticalis LeConte
Bradycellus: atrimedius Say; lecontei Csiki; nigrinus Dejean; rupestris Say
Cratacanthus dubius P. de Beauvois
Dicheirotrichus cognatus Gyllenhal
Dicheirus piceus Menetries
Discoderus parallelus Haldeman
Euryderus grossus Say
Geopinus incrassatus Dejean
Harpalus: affinis Schrank; caliginosus Fabricius; erraticus Say; fuscipalpis Sturm; laticeps LeConte;
pensylvanicus DeGeer; puncticeps Stephens; somnulentus Dejean
Notiobia: nitidipennis LeConte; terminata Say
Piosoma setosum LeConte
Selenophorus: gagatinus Dejean; hylacis Say
Stenolophus: comma Fabricius; conjucntus Say; fuliginosus Dejean; lecontei Chaudoir; lineola Fabricius;
ochropezus Say
Trichotichnus: autumnalis Say; dichrous Dejean; vulpeculus Say
Xestonotus lugubris Dejean
HELLUONINI
Helluomorphoides praeustus bicolor Harris
LEBIINI
Apenes sinuatus Say
Apristus: latens LeConte; subsulcatus Dejean
Axinopalpus biplagiatus Dejean
Calleida punctata LeConte
Cymindis: americanus Dejean; borealis LeConte; cribricollis Dejean; limbatus Dejean; neglectus Haldeman;
pilosus Say; platicollis Say; unicolor Kirby
Dromius piceus Dejean
Lebia: analis Dejean; atriventris Say; fuscata Dejean; grandis Hentz; lobulata LeConte; moesta LeConte;
ornata Say; pleuritica LeConte; pulchella Dejean; pumila Dejean; solea Hentz; tricolor Say;
viridipennis Dejean; viridis Say; vittata Fabricius
Micorlestes: brevilobus Lindroth; linearis LeConte; pusio LeConte
Philorhizus melanocephalus Dejean
Plochionus timidus Haldeman
Syntomus americanus Dejean
Technophilus croceicollis peigani Larson
LICININI
Badister: grandiceps Casey; neopulchellus Lindroth; notatus Haldeman
Dicaelus: elongatus Bonelli; politus Dejean; purpuratus Bonelli; sculptilis intricatus LeConte; teter Bonelli
Diplocheila: obtusa LeConte; striatopunctatus LeConte
LORICERINI
Loricera pilicornis Fabricius
LOXANDRINI
Loxandrus velocipes Casey
NEBRIINI
Leistus ferrugineus Linnaeus
Nebria: expansa Casey (junior synonym of lacustris Casey); gyllenhali castanipes Kirby; l. lacustris Casey; nivalis gaspesiensis Kavanaugh;
pallipes Say; suturalis LeConte
Nippononebria virescens Horn
Pelophila: borealis Paykull; rudis LeConte
NOTIOPHILINI
Notiophilus: aeneus Herbst; aquaticus Linnaeus; biguttatus Fabricius; borealis Harris; intermedius LeConte;
nemoralis Fall; novemstriatus LeConte; palustris Duftschmid; semistriatus Say
ODACANTHINI
Colliuris: lioptera Bates; ludoviciana Salle; marginestriata Putzeys; pensylvanica Linnaeus; pilatei Chaudoir;
subdistincta Chaudoir; tristigma Bates; tubulifera Bates
OMOPHRONINI
Omophron: americanum Dejean; labiatum Fabricius; robustum Horn; tesselatum Say
OODINI
Anatrichis minuta Dejean
Lachnocrepis parallela Say
Oodes: amaroides Dejean; americanus fluvialtilis LeConte; brevis Lindroth; fluvialis LeConte
Stenocrepis cuprea Chaudoir
OPISTHIINI
Opisthius richardsoni Kirby
PANAGAEINI
Panagaeus fasciatus Say
PATROBINI
Diplous rugicollis Randall
Patrobus: foveocollis Eschscholtz; longicornis Say
Platydiolus vandykei Kumakov
Platypatrobus lacustris Darlington
PAUSSINI
Metrius contractus Eschscholtz
PENTAGONICINI
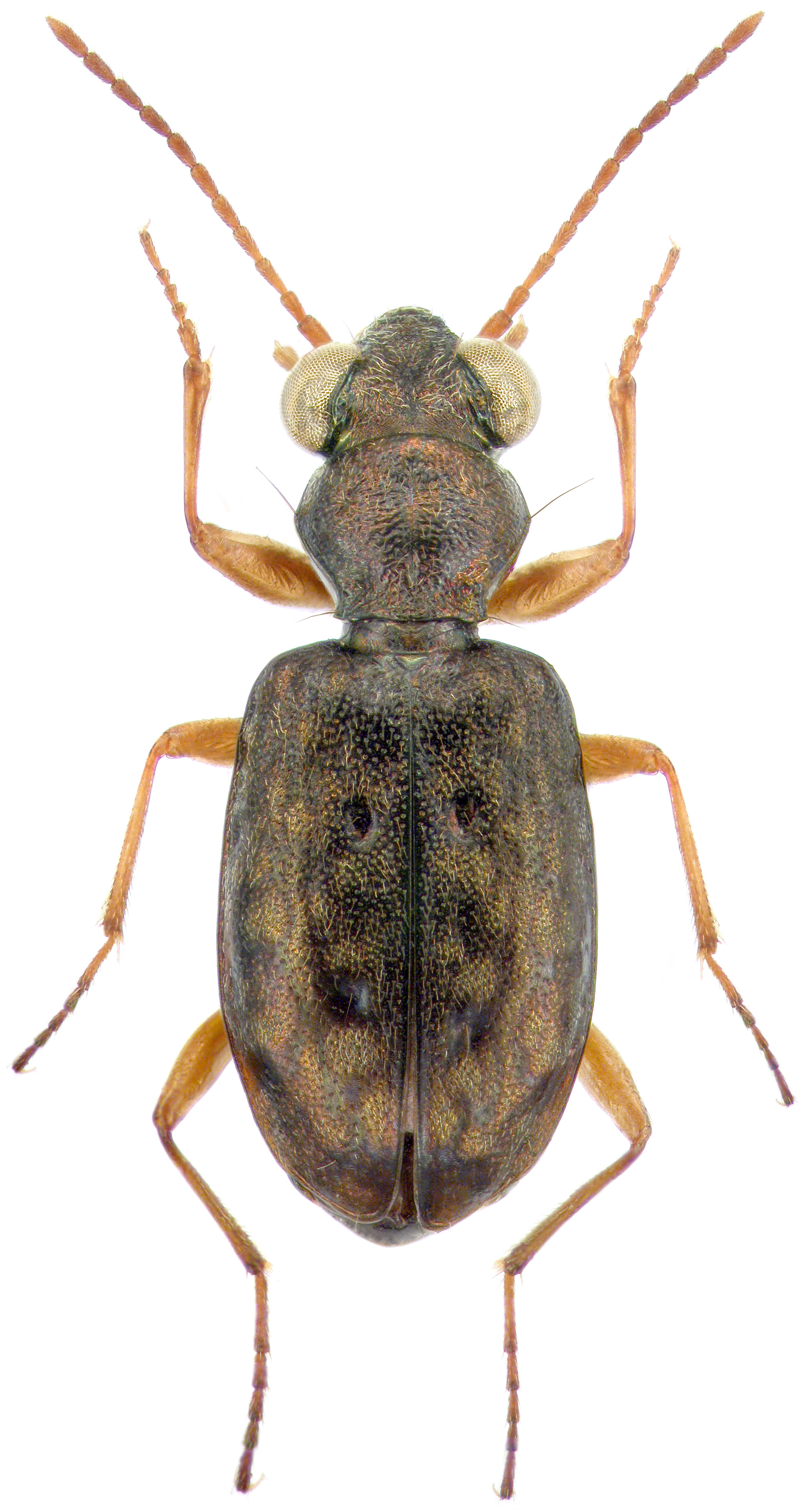
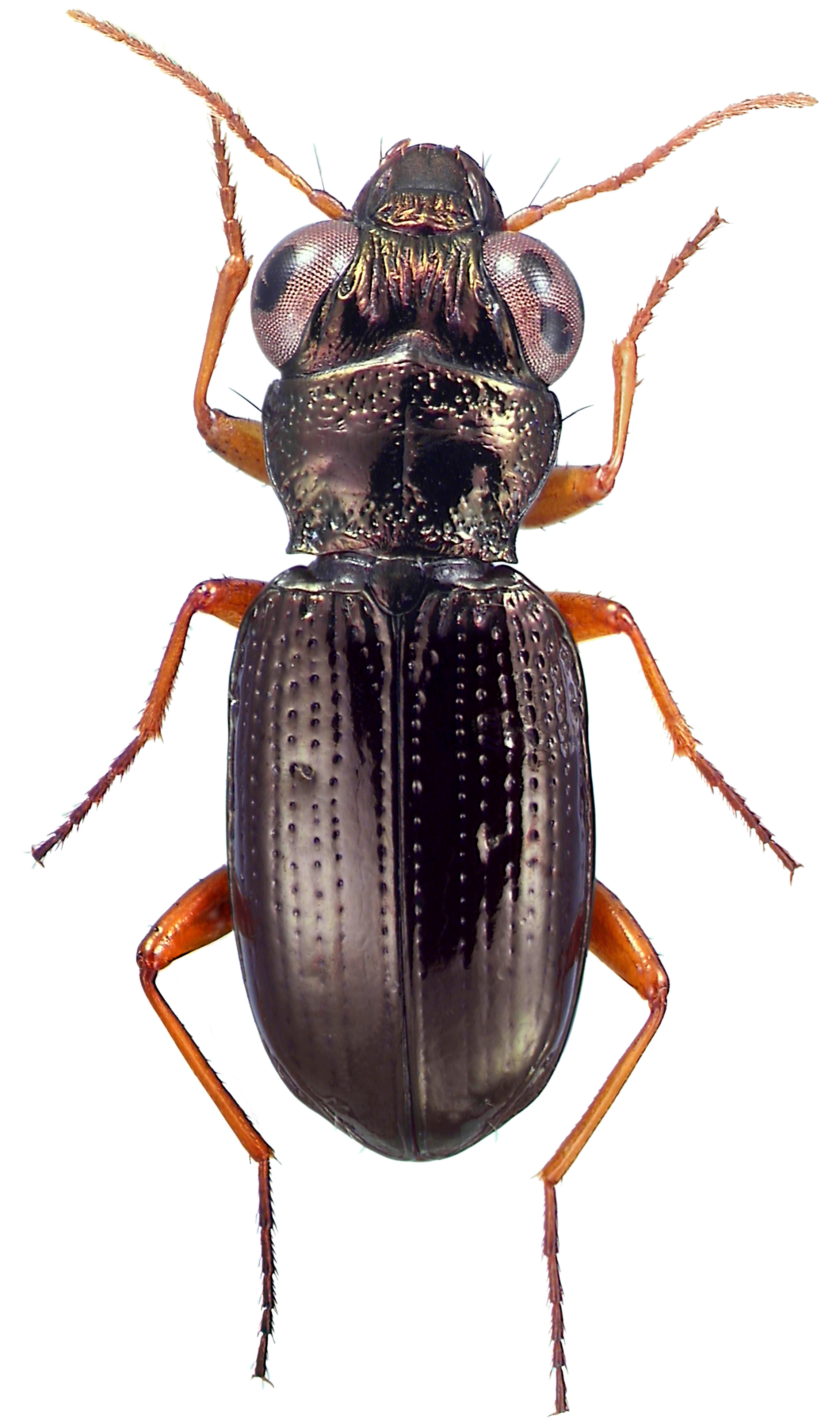
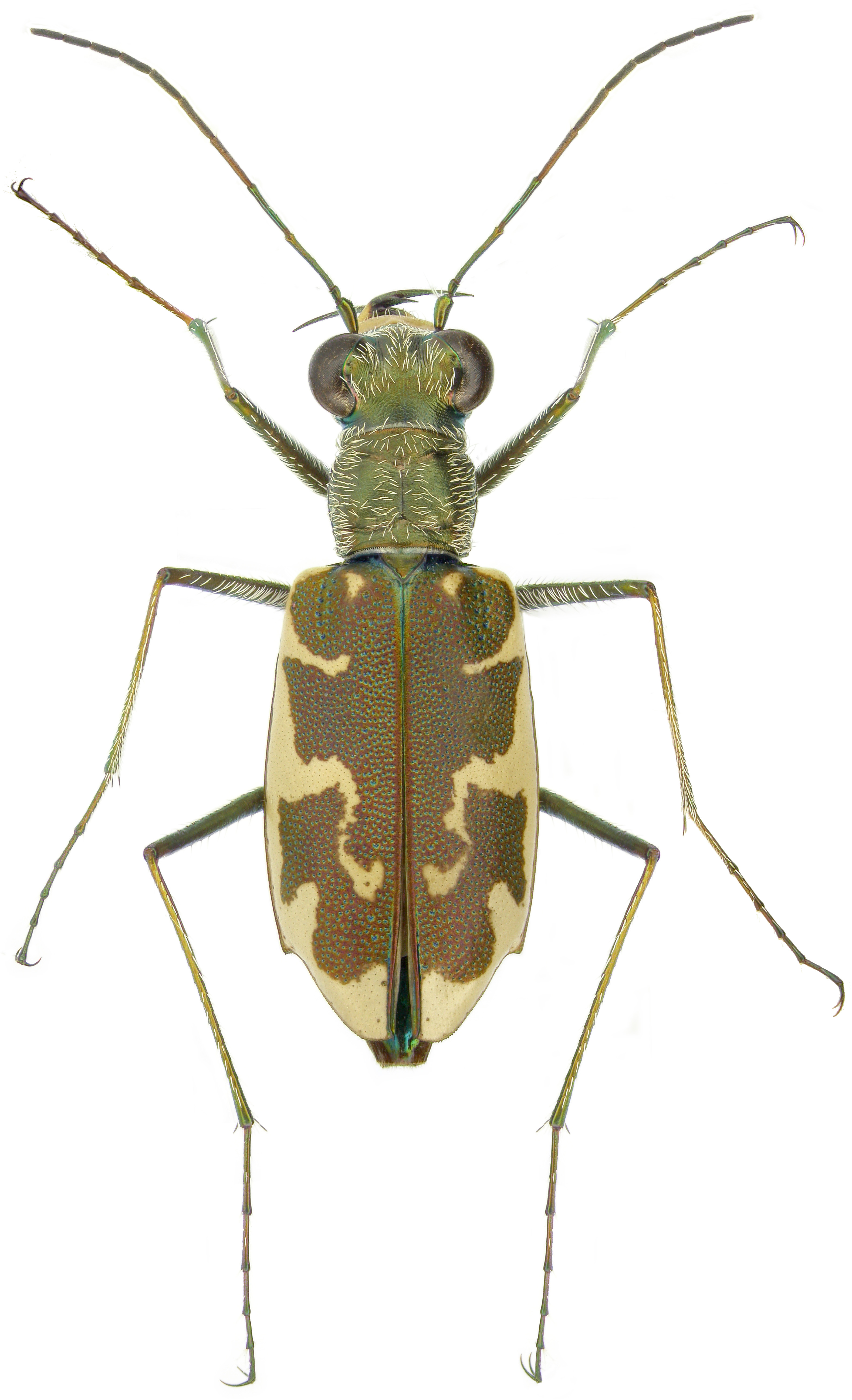
Pentagonica picticornis Bates: image 1; image 2
PERIGONINI
Perigona: nigriceps Dejean; pallipennis LeConte
PLATYNINI
Agonum: cupreum Dejean; cupripenne Say; decorum Say; extensicolle Say; lutulentum LeConte;
nigriceps LeConte; octopunctatum Fabricius; placidum Say
Anchomenus aeneolus LeConte
Atranus: pubescens Dejean; pubescens (Quebec); pubescens (U.S.A.)
Calathus: advena LeConte; gregarius Say
Laemostenus t. terricola Herbst
Metacolpoldes buchannani Hope
Olisthopus parmatus Say
Oxypselaphus pusillus LeConte
Paranchus albipes Fabricius
Platynus: decentis Say; hypolithus Say; mannerheimii Dejean
Sericoda quadripunctata DeGeer
Synuchus impunctatus Say
Tetraleucus picticornis Newman
PROMECOGNATHINI
Promecognathus crassus LeConte
PSEUDOMORPHINI
Pseudomorpha undet. sp.
PSYDRINI
Nomius pygmaeus Dejean
Psydrus piceus LeConte
PTEROSTICHINI
Abax parallelopipedus Piller & Mitterpacher
Cyclotrachelus s. sodalis LeConte
Gastrelarius honestus Say
Lophoglossus scrutator LeConte
Megadromus antarcticus Chaudoir
Myas cyanescens Dejean
Poecilus: chalcites Say; lucublandus Say
Pterostichus: adstrictus Eschscholtz; castor Goulet & Bousquet; commutabilis Motschulsky; corrusculus LeConte;
diligendus Chaudoir; luctuosus Dejean; melanarius Illiger; permundus Say; pinquedineus Eschscholtz;
praetermissus Chaudoir; punctatissimus Randall; rostratus Newman; tristis Dejean
Stereocerus haematopus Dejean
Stomis pumicatus Panzer
SCARITINI
Pasimachus elongatus LeConte
Scarites subterrraneus Fabricius
TRECHINI
Blemus discus Fabricius
Trechus: apicalus Motschulsky; quadristriatus Schrank
ZABRINI
Amara: aulica Panzer; avida Say; musculis Say; obesa Say; otiosa Casey; pallipes Kirby; patruelis Dejean;
quenseli Schoenherr
Pseudamara arenaria LeConte
ZUPHIINI
Zuphium americanum Dejean